- bouwjaar
-
circa
- verdwenen
- molenaars
- geschiedenis
-
Wie thans probeert in het Needse kerkdorp Rietmolen iemand te vinden die daar een nog volop in bedrijf zijnde windmolen heeft gekend, zal slechts een enkeling vinden die zich dat kan herinneren. Dat is dan ook geen wonder, want de wieken van deze molen werden al voor 1920 verwijderd en nadien werd deze (inmiddels volledig verdwenen) molen nimmer meer geschikt gemaakt om op windkracht te draaien.
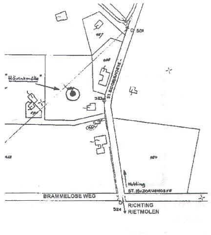
In de volksmond droeg de molen de naam "Hövinksmölle" welke naam ontleend werd aan een eeuwenoude benaming van het erve tot wier grondgebied het terrein waarop de molen stond behoorde, het erve Havink.
Het erve Havink ligt juist in de gemeente Neede, tegen de grens met Haaksbergen aan, in het Geldersche gedeelte van het vroegere marke Brammelo. Deze marke lag namelijk in twee provincies. Het Overijsselsche gedeelte werd "Brammelo" genoemd en het Geldersche gedeelte "Brammeler Broek", of eenvoudig "Broek" of "Brooken". in dit laatste deel, thans officieel een deel van Rietmolen, ligt aan de St. Isidorushoeveweg met huisnr. 25, het oude erve Havink. De eerste vermelding van Havink vinden we al in 1393, doch voor de geschiedenis van de molen hoeven we niet zover terug. De landbouwer Johannes Theodoris (Derk) Havink huwde te Neede op 16 mei 1840 op huwelijkse voorwaarden met Johanna Esseling. Derk Havink werd geboren op 25 april 1808 en overleed reeds op 3 november 1849, toen hij met paard en wagen nabij cafe de Witte te Neede reed en een trap van zijn trekdier kreeg. Enkele jaren later hertrouwde zijn weduwe op 25 juli 1851 met Johan Heinrich Hermann Rötger Tenhagen (vanwege zijn kleine gestalte in de wandeling Hermanneke genoemd. Tenhagen bracht uit zijn ouderlijk huis, erve Hageman te Altstätte, 786,65 mark mee.
Johanna Esseling de weduwe van Derk Havink en echtgenote van J.H.H.R. Tenhagen, overleed op 23 april 1869. Op 20 mei 1879 werd voor de kantonrechter F.G.W. Immink te Groenlo en notaris G. ter Braak uit Eibergen in het logement "de Pelikaan" te Groenlo een boedelscheiding tussen:
a: J.H.H.R. Tenhagen
b: twee kinderen uit het huwelijk van J.T. Havink en J. Esseling.
Uit het tweede huwelijk werd onder meer nagelaten:
- windkoren- pelmolen onder Neede, sectie F 147, totaal 0.10.90 hectare.
J.H.H.R. Tenhagen kreeg onder ander dit perceel toebedeeld.
Uit het bovenstaande volgt, dat de molen gebouwd moet zijn tussen Johanna Esselings tweede huwelijkin 1851 en haar overlijden in 1869. Één argument voor de vroegere datering dan 1869 is het gegeven dat er zich al in 1862 een bakker vestigde te Rietmolen (Borchert), hetgeen zinloos zou zijn geweest, wanneer er geen molen in de nabijheid zou zijn om hem van meel te voorzien. Door het feit dat de molen echter al staat aangegeven op de kaart van de markeverdeling van 1868 kunnen we de stichting van de molen plaatsen tussen 1851 en 1858
De windkorenmolen te Rietmolen was een zogenaamde belt- of bergmolen, een karakteristieke dorpsmolen. Om een betere windvang te krijgen was de romp van dit type molen opgetrokken tot een hoogte van circa 18 meter. De bediening van het gevlucht vond vanaf een rondom de molen aangelegde belt of berg plaats. Door twee toegangspoorten kon de molenaar in de molen rijden. Vermoedelijk stond onderin de molen een hulpgemaal alsmede een koppel kantstenen voor het pletten of fijnwrijven van zaden. De molen was een bovenkruier, voorzien van een draaibaar op de romp gelagerde kap, waarin de as met het wiekenkruis is bevestigd. Om de wieken op de wind te zetten hing aan de achterzijde van de kap een tot aan beneden afhangende en stevig geschoorde staartbalk, waar onderin het kruirad gestoken zat.
Draaiend aan het kruirad kon de kap, en daarmee ook de wieken, in de goede stand ten opzichte van de wind gezet worden. Staande op de molenbelt kon de molenaar gemakkelijk het kruirad en de zeilen bedienen. De belt vervangt hierbij de zwichtstelling (zoals thans aanwezig bij de "Hollandsche Molen"op de Needse berg). De zwichtstelling vergt namelijk nogal wat onderhoud.
Op 13 Januari 1913 richt J.H. Tenhagen een verzoekschrift aan de Gemeente Neede voor een vergunning tot het oprichten van een korenmolen met machinekamer, welke vergunning op 18 Januari 1913 werd verleend. De molen zou gebouwd worden te Broeken Gem. Neede ten Oosten van een bestaande windkorenmolen, afstand van de weg ongeveer 15 m., van de belending 6 m.
Het ligt voor de hand dat deze machinale molen werd gebouwd om in perioden wanneer er onvoldoende wind was voor de windkorenmolen, toch te kunnen malen. De aandrijving van de maalstenen op de maalstoel geschiedde door een zuiggasmotor.
In het archief van de Gemeente Neede bevind zich tevens een vergunning aanvraag voor het verplaatsen van een motor in en het verrichtten van de daarvoor noodzakelijke verbouwing aan de voormalige windkorenmolen te Broeken. Het verzoek dateert van 3 juli 1922 en werd gedaan door G.b. Tenhagen. Vreemd is echter dat er in de vergunning-aanvraag sprake is van een zuiggasmotor terwijl oude kaarten als bestemming aangeven "stoomgemaal". Hierover is geen duidelijkheid te verkrijgen.
Interessant is wel dat er in het eerstgenoemde verzoek sprake is van een bestaande windkorenmolen, terwijl het tweede verzoek aangeeft dat het een voormalige windkorenmolen betreft. Met andere woorden: de molen is tussen 1913 en 1922 buiten werking gesteld.
Dhr. G.J. Roerdink, die van 1920 tot 1922 knecht was op erve Havink, vertelde dat op het moment toen hij als knecht werd aangenomen. de wieken reeds van de molen afgehaald waren. De reden hiervoor was dat de oude houten molenas gebreken vertoonde en vervangen zou worden door een gietijzeren as. De gietijzeren as werd in Borne gekocht en met paard en wagen naar Rietmolen gehaald. Het bleek echter niet mogelijk de zware, stalen as op haar plaats te krijgen en men heeft verder afgezien van heringebruikneming van de molen.
De molenromp werd afgedekt met ijzeren golfplaten en heeft nog geruime tijd dienst gedaan als opslagruimte. In de dertiger jaren werd de romp enkele meters ingekort doordat stenen van de romp werden gebruikt voor het metselen van binnenmuren in de huizen van de kinderen van G.B. Tenhagen aangezien deze door schaarste geen andere stenen konden krijgen. De molenberg werd afgegraven en verkocht ten behoeve van de aanleg/verbetering van de Borgsteeg te Rietmolen, terwijl de romp zelf omstreeks 1957 als puin werd verkocht.
Één van de "bouwplaatsjes" welke Derk Havink destijds bezat was "Berendjeshoes", een honderdtal meters van de molen verwijderd. De mulder (dus niet de eigenaren) van de molen woonden allen op Berendjeshoes. Achtereenvolgens waren dat Huls, Völkerink en Borgelink, Alleen enkele veldnamen van Havink herinneren nog aan de molen te Rietmolen, namelijk Mulderskamp, Bakkersveld en Muldersveld.
ontleend aan G.A. Hemelman - stichting vrienden van de Geldersche Molen -
Molen 00886 a Hövinkmölle (Rietmolen)Foto: onbekend, ingestuurd door Hendri Karssenberg
Molen 00886 a Hövinkmölle (Rietmolen)Ligging van de molen
Molen 00886 a Hövinkmölle (Rietmolen)